Elder John STRONG (1605 – 1699) was Alex’s 9th Great Grandfather; one of 1,024 in this generation of the Miller line.
John Strong was born in 1605 in Chard, Somerset, England. His parents were Richard STRONG and Eleanor DEAN. He married Margerie Dean in 1625 in Somerset, He sailed in on the Hopewell, Master John Driver from Weymouth, Dorsetshire, England on 8 May 1635 with his wife and their two children: John Jr age 2 and an infant plus John’s sister Eleanor age 22.
Some sources state he came to America in the year 1630 the Mary and John from Plymouth in England, in company with Mr. Wareham Maverick, Mason, Clap, etc., and arrived at Nantasket on the 30th of May, of that year, and settled in Dorchester. His future wife Abigail Ford was on board, but John Strong is only a “maybe” on the passenger list.
After Margerie died, he married Abigail FORD in Dec 1635 in Dorchester, Mass. John died 14 Apr 1699 in Northampton, Mass.
Margerie Dean was born in England. Her parents were William Dean and [__?__]. She and John had one son: John Strong Jr. John Jr. was born about 1626 in England. He married Mary Clark on 26 Nov 1656. John Jr died 2 Feb 1697/98 in Windsor, CT. Margerie and her baby Joseph Jerijah Strong died during a difficult childbirth in 1635 in Hingham or Taunton, Mass.
Abigail Ford was born on 8 Oct 1619 in Bridport, Dorset, England. Her parents were Thomas FORD and Elizabeth CHARD. She emigrated with her parents in 1630 on the Mary & John. Abigail died 6 Jul 1688 in Northampton, Mass.
Children of John and Margerie Dean:
| Name | Born | Married | Departed | |
| 1. | Thomas Strong | |||
| 2. | John Strong | bapt. 22 Jul 1634 England |
Elizabeth Warriner (Sister of William WARRINER) 1664 in Windsor, Hartford, CT . Hannah Smith 2 Nov 1686 in Windsor, Hartford, CT |
20 Feb 1697 Windsor, CT |
| 3. | Joseph Jerijah Strong | 1635 | 1635 at two months. |
.
Children of John and Abigail:
| Name | Born | Married | Departed | |
| 4. | Thomas Strong | c. 1637 Dorchester, Mass. | Mary Hewitt 5 Dec 1660 Northampton . Rachel Holton 10 Oct 1671 |
3 Oct 1689 Northampton Mass. |
| 5. | Jedediah Strong | 7 May 1637 Hingham, Mass. | Freedom Woodward 18 Nov 1662 Northampton . Abigail Stebbins 28 Dec 1681 Northampton . Mary Hart 5 Jan 1691/92 Northampton |
22 May 1733 Coventry, Tolland, CT. |
| 6. | Josiah Strong | 1639 Mass. |
1726 Taunton, Bristol, Mass. | |
| 7. | Return Strong | 9 Apr 1640 Taunton, Bristol, Mass. | Sarah Warham 11 May 1664 Windsor, CT . Margaret Newberry 23 May 1689 Windsor, Hartford, CT . [__?__] c. 1707 |
9 Apr 1726 Northampton |
| 8. | Ebenezer Strong | 1643 Taunton, Mass |
Hannah Clapp 14 Oct 1668 Northampton |
11 Feb 1728/29 Northampton |
| 9. | Abigail Strong | 1645 Taunton, Mass | Nathaniel Chauncy 12 Nov 1673 Dorchester . Medad Pomeroy 8 Sep 1686 Northampton Mass |
15 Apr 1704 Northampton |
| 10. | Elizabeth Strong | 29 Feb 1647/48 Windsor, CT | Coronet Joseph Parsons 17 Mar 1668/69 Mass |
11 May 1737 Northampton |
| 11. | Experience Strong | 4 Aug 1650 Windsor, CT | Zerubbabel Filer 27 May 1669 Windsor, CT |
20 Oct 1714 Windsor, CT |
| 12. | Samuel Strong | 5 Aug 1652 Windsor, CT. | Esther Clapp 19 Jun 1684 Mass. . Ruth Sheldon 28 Oct 1698 |
29 Oct 1732 Northampton |
| 13. | Joseph Strong | 5 Aug 1652 Windsor, CT (Twin of Samuel) |
23 Dec 1762 Windsor, CT | |
| 14. | Mary Strong | 26 Oct 1654 Windsor, CT | John Clark (Son of Lt. William CLARK) 20 Mar 1678/79 Windsor, CT. |
8 Dec 1738 Northampton |
| 15. | Sarah Strong | 26 Oct 1656 Windsor, CT | Joseph Barnard 19 Dec 1675 Windsor, Hartford, CT . Jonathan Wells 23 Sep 1698 Wethersfield, Hartford, CT |
10 Feb 1732/33 Deerfield, Hampshire, Mass. |
| 16. | Hannah STRONG | 30 May 1659 Northampton | Capt. William CLARK 15 Jul 1680 Northampton Mass. |
31 Jan 1693/94 Northampton Mass |
| 17. | Hester Strong | 7 Jun 1661 Northampton | Thomas Bissell 15 Oct 1678 Windsor, CT |
4 Mar 1725/26 Windsor, CT |
| 18. | Thankful Strong | 25 Jul 1663 Northampton | Jonathan Baldwin 1694 Windsor, CT |
5 Mar 1725/26 Milford, CT |
| 19. | Jerijah Strong | 12 Dec 1665 Windsor, CT | Thankful Stebbins 18 Jul 1700 Northampton |
24 Apr 1754 Northampton |
John lived in England at Taunton, the county seat of Somersetshire. His father, whose name was Richard, died while his son was young. His grandfather, who was a Roman Catholic, lived to be very old, but died before his grandson left England.
He married his first wife in England, who died soon after landing in America leaving two young children, the youngest of which died in two months after its mother.
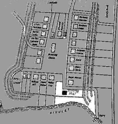
He married second to Abigail Ford (sister to Captain Clap’s wife), at Dorchester in 1635, or 1636. He afterwards removed from Dorchester to Windsor in Connecticut, and with four others, to wit : Messers. John MASON, Ludlow, Wolcott, and Thomas Stoughton [son of Rev. Thomas STOUGHTON Sr.], was appointed to superintend and bring forward the settlement at that place. He lived there several years and from there removed to Northampton, in 1659 or 1660, where he died, April 14, 1699, about 94 years old. He was the first ruling elder of the church in Northampton. His wife died July 6, 1688. A sister of his came with him from England, who afterwards married Walter Dean. Fifteen of his children grew up and married, more than any other of our ancestors. He had 24 son and daughter in-laws, again more than any other ancestor.
John served as constable at Taunton. Sometime before 1645 the family moved to Windsor, CT where his father in law was a large land holder. After living fifteen years at that young settlement, the Strongs returned to Massachusetts, settling at Northampton in 1660. As well as plying his trade as a tanner, John was appointed the first ruling elder of the church at Northampton. He died there April 14, 1699, his wife, Abigail, preceeded him in death July 6, 1688.
HINGHAM, MASSACHUSETTS
Land granted, 18 September, 1635, for five acres of land on North Street near Ship Street, Hingham, Plymouth Colony, Massachusetts.
Freeman on 9 March 1636/37
TAUNTON, MASSACHUSETTS:
House lot on Dean Street west of John Dean house.
4 Dec 1638 – Freeman of Plymouth Colony
First Constable, 1638 and 1639, juror 1645.
4 Feb 1647 – “Thomas Thorton al his land formerly recorded in figures is sold to Thomas Ford and John Strong where the particulars fully apperar….”
This included a house, out house, yards, orchards and gardens containing about two acres, more or less, bounded north and west by the land of Walter Fyler, south by the rivulet, on the east by the highways, and adjoining at the foot of the hill, in the great meadow, one acre and three quarters more or less bounded north by the land of John Mason and east by the land of William Hill [Windsor Register of Deeds]
15 May 1654 – Freeman of Connecticut.
NORTHAMPTON, MASSACHUSETTS:
1663 – John Strong was ordained and Elder of the church.
14 Oct 1660 – John Strong bought from John Webb, a parcel of land lying in the Third square and bounded by land of Richard Lyman on the north and the highway on the south and on the sides bordering the land of David Wilton on the east by Samuel Allyn on the west – Seven acres .
John Strong bought another parcel from John Webb, a home lot bounded on the highway east and north and the mill trench on the west containing two acres. Part of this was given to his son Samuel.
John Strong bought another parcel from John Webb, which lies on the south side of Mill River and bounded by the highway east and west, the sides bordering the highway south and Mill River north containing – two acres.
15 Oct 1660 – Northampton granted to him several parcels of land including a tan yard which was bounded on the east and west by the highway, north by Ralph Hutchinson’s land and the common land, and the meeting house hill on the south. John gave this to his son Ebenezer, on 15 Dec 1688.
The original tan yard contained one quarter acre. It was on King Street Brook a little north of Hampshire Marble Works. The town by vote directed all hides be taken to him to be tanned at his own price because of his reputation for honesty.
15 Oct 1660 – Northampton granted to him his home lot which was bounded on the highway north and Mill River on the south and bounded on the sides by the land of Capt. Aaron Cooke on the east and Alexander Edwards on the west. John Strong conveyed these parcels to John Webb 18 Oct 1660.
The home lot granted to him by Northampton on West Street was nearly opposite the Parson’s Homestead. He sold it to John Webb, and purchased John Webb’s home lot at the corner of Main and South Streets [today in Easthampton]. The property remained in the family for 103 years.
Northampton granted John Strong another parcel of land in Manham Meadow which butts up on the Great River on the east and Mill River on the west containing four Six acres plus. John gave half of this lot to Ebenezer, 15 Dec 1688.
Children
1. John Strong
John’s first wife Elizabeth Warriner was born 1640 in Windsor, Hartford, CT. Her parents are not known, but She was probably a brother to our ancestor William WARRINER. Elizabeth died 7 Jun 1684 in Windsor, Hartford, CT.
John’s second wife Hannah Smith was born 24 Jan 1647 in Rowley, Essex, Mass. Her parents were Hugh Smith and Mary Ellsworth. She first married 6 May 1669 in Rowley, Essex, Mass to Joseph Trumbull (b. 19 Mar 1647 in Rowley, Mass – d. 15 Aug 1684 in Suffield, Hartford, CT). She married John Strong 2 Nov 1686 in Windsor, Hartford, CT. Finally, she married 16 Jun 1698 in Windsor, Hartford, CT to Nicholas Buckland (b. 24 Mar 1646 in Windsor – d. 24 Aug 1728 in Windsor). Hannah died 21 Mar 1719 in Northampton, Hampshire, Mass.
John was the only surviving child of his father’s marriage to Margerie Dean marriage born before 22 July 1634 when he was named with his mother in the will of his grandfather, William Deane of Southchard, Chard, Somerset, England.
John was a tanner and spent his life in Windsor, CT. He was a man of prominence in the affairs of that city.
His family was not mentioned in the will of Elder John Strong having received, along with his brother Return Strong the Tanneries in Windsor as his inheritance portion.
The inventory of the estate of John Strong, was taken Feb 28, 1697/98; it names the children as
– John Strong, age 32,
– Jacob, 25;
– Josiah, 19;
– Mary Stanly, 40, and
– Hannah Hopkins, 36.
The following month, two agreements were made by the heirs, the first relating to the dower of the widow Hannah Strong, who is called mother-in-law [stepmother] of the sons; the second, relating to distribution to the children, signed by John, Jacob and Josiah Strong, Return Strong, as the guardian of Josiah, and Timothy Stanley and John Hopkins.
4. Thomas Strong
Thomas’ first wife Mary Hewett was born 2 Aug 1640 in Dorchester, Suffolk, Mass. Her parents were Ephraim Hewett and Isabel Overton. Mary died 20 Feb 1671 in Northampton, Hampshire, Mass.
Thomas’ second wife Rachel Holton was born in 1650 in Northampton. Her parents were William Holton and Mary Winche. After Thomas died, she married May 15, 1698. as his third wife, to Nathan Bradley (1638 – 1713). Rachel died in 1714 in Madison, New Haven, CT.
Thomas was a trooper in 1658, at Windsor, under Major John MASON (recorded March 11, 1657-8). He removed to Northampton with his father in 1659.
Of his 15 children, all but one were living at his death, nine of whom were under 15 years of age, after which one more was born. He died intestate. His estate was inventoried at £379 14 sterling. The estate of his son Hewett was £28 and divided equally between his three brothers and sister, children of Mary Hewett. John, brother of Hewett died insolvent. Thomas Strong was a farmer.
By the will of Thomas Strong, his eldest son Thomas had “half the house and homestead forever; hoping he will come and live there and so be a help to his mother-in-law.” The mother had ” the whole of the rest of the estate for five years to bring up the children; then the estate to be divided according to law, Thomas to have a double portion – he to pay if half of whole is too much”.
The patriot Nathan Hale is his 2nd Grandson. Children of Thomas and Rachel include:
vii. Joseph Strong (Elder John’s Grandson) b. 2 Dec 1672 Northampton, Hampshire, Mass. d. 23 Dec 1763, Coventry, Tolland, Connecticut; m. Sarah Allen 1694 in Northampton, Hampshire, Mass. Children of Joseph and Sarah include:
b. Joseph Strong (Elder John’s Great Grandson) b. 25 Jul 1701, Northampton, Hampshire, Mass. d. 9 Apr 1773 Coventry, Tolland, Connecticut; m. Elizabeth Strong 12 May 1724 in Coventry, Tolland, Connecticut. Elizabeth was also Elder John’s great grand daughter so Nathan Hale was his 3rd Great Grandson two ways! Children of Joseph and Elizabeth include:
aa. Elizabeth Strong (Elder John’s 2nd Great Grandson) b, 2 Feb 1727, Coventry, Tolland, Connecticut; d. 21 Apr 1767 Coventry, Tolland, Connecticut; m. Richard Hale 17 May 1746 in Coventry, Tolland, Connecticut. Children of Elizabeth and Richard include:
fff. Nathan Hale (Elder John’s 3rd Great Grandson) b. 6 Jun 1755 Coventry, Tolland, Connecticut. d. 22 Sep 1776 New York, NY Nathan Hale was born in Coventry, Connecticut in 1755 to Richard Hale and Elizabeth Strong. In 1768, when he was thirteen years old, he was sent with his brother Enoch to Yale College. Nathan was a classmate of fellow patriot spy Benjamin Tallmadge. The Hale brothers belonged to the Yale literary fraternity, Linonia, which debated topics in astronomy, mathematics, literature, and the ethics of slavery. Graduating with first-class honors in 1773, Nathan became a teacher, first in East Haddam and later in New London. After the Revolutionary War began in 1775, he joined a Connecticut militia and was elected first lieutenant. When his militia unit participated in the Siege of Boston, Hale remained behind, but, on July 6, 1775, he joined the regular Continental Army’s 7th Connecticut Regiment under Colonel Charles Webb of Stamford. He was promoted to captain and in March 1776, commanded a small unit of Lt. Col. Thomas Knowlton’s rangers defending New York City. They managed to rescue a ship full of provisions from the guard of a British man-of-war.
Nathan volunteered for an intelligence-gathering mission in New York City but was captured by the British. He is probably best remembered for his purported last words before being hanged: “I only regret that I have but one life to give for my country.” Hale has long been considered an American hero and, in 1985, he was officially designated the state hero of Connecticut
5. Jedediah Strong
Jedediah’s first wife Freedom Woodward was born 1642 in Dorchester, Suffolk, Mass. Her parents were Henry Woodward and Elizabeth Mather. Freedom died 17 May 1681 in Northampton, Hampshire, Mass.
Jedediah’s second wife Abigail Stebbins was born 6 Sep 1660 in Northampton, Hampshire, Mass. Her parents were John Stebbins and Abigail Bartlett. She first married 30 May 1678 in Northampton, Hampshire, Mass. to William Phelps (b. 22 Jun 1657 in Northampton, Hampshire, Mass. – d. 1 Jun 1745 in Northampton). Alternatively, her parents were Robert Bartlett (1612 – 1676) and Ann [__?__]t ( – 1676) and her first husband was John Stebbins (1626 – 1679). Abigail died 15 Jul 1689 in Northampton, Hampshire, Mass.
Jedediah’s third wife Mary Hart was born 14 Aug 1664 in Hartford, Hartford, CT. Her parents were Stephen Hart and Margaret Farmington. Mary died 10 Oct 1710 in South Hadley, Hampshire, Mass. On 10 Oct 1710 his wife Mary died from the injury which she received the day previous by the fall of the horse on which she was riding (on a pillion [a secondary pad, cushion, or seat behind the main seat or saddle on a horse], behind her husband), when just started well upon their way to Coventry, together, to visit their children The record reads thus at Northampton: “Oct. 9, 1710, Jedediah Strong, and wife set out early in the morning to visit their children, at Coventry; but when they came against the Falls (at S. Hadley) among the broad smooth stones, the horse’s feet slipped up and he fell flat on the off side and by the fall killed the woman: though she was not quite dead then, but had life in her until the next day – yet never spoke a word.”
Jedediah Strong was a farmer at Northampton until 1709, when at the age of 70 years and upwards he removed with his family to Coventry, CT, where 24 years afterwards he died aged 96.
On May 31, 1674, Martin Smith of Pocumtuck, was fined 20 shillings for trying to kiss FREEDOM on the street. She was 32 at the time and the mother of 8 children. However, Martin was to experience worse trouble in his life. In 1693, he was captured by Indians and taken to Canada. While he was away, his wife, Sarah, entered a complaint against John Evans, for “attempting to force an unclean act upon her”.
When Martin returned from captivity, in 1698, after 5 years, he found his wife under a death sentence for murdering her illegitimate baby. Three judges, with an escort of 26 troops, took her to the court in Springfield. A grand jury, headed by John Holyoke, charged that on Jan. 11, 1697, in Deerfield MS, between 1:00 and 5:00 in the afternoon, in Daniel Wells’ house, a bastard child was born. Led by the instigation of the devil, withholding her natural affection, she refused all necessary help to preserve the life of the child, and with the intent to conceal her lewdness, she strangled the baby. She pleaded innocent, but she was found guilty and was hung, Apr. 25, 1698, in Springfield. According to tradition, the house in which the murder occurred was afterwards haunted and ghosts were seen there. The final chapter of Martin Smith’s life occurred on Feb. 29, 1704, when the French and Indians launched there attack on Deerfield. Martin was smothered in a cellar with the family of John Hawk’s, Jr., after the Indians set the house afire.
During the years 1677-8 & 9, Jedediah was paid 18 shillings a year for blowing the trumpet on Sunday to summon the people to church. He lived with his first wife 19 years, with his second 7, and with his third wife 9, and notwithstanding his three marriages spent 33 years as a widower, and 61 unmarried.
Jedediah was constable in 1683.
Jedediah and Freedom’s daughter Sarah married Thomas CUSHMAN Jr‘ son Thomas in 1700.
7. Return Strong
Return’s first wife Sarah Warham was born 28 Aug 1642 in Windsor, Hartford, CT. Her parents were Rev. John Warham and Jane Dabinott (widow of widow of Thomas Newberry). Sarah died 26 Dec 1678 in Northampton, Hampshire, Mass.
John Warham graduated from St. Mary Hall, Oxford, B.A. , 14 Nov. 1614 and M.A., 18 May 1618. In 1627 he served in the church of Crewkerne, Somerset where he was born, but when he was rebuked for preaching Puritanism by Bishop William Laud, he left and the Bishop of Exeter gave him a living at St. Sidwell’s parish in Exeter. In 1629, after he decided to come to New England he returned to preach one last, time in Crewkerne and he was rebuked again.
In March 1630 Rev. John Warham and Rev. John Maverick became the ministers of the “Mary & John” group, among whom were many families from Crewkerne. He and Maverick were the ministers at Dorchester, MA until 1636, when Maverick died and Warham moved to Windsor, CT with most of the “Mary & John” families, where he was their minister until his death.
Return’s second wife Margaret Newberry was born 23 Oct 1662 in Windsor, Hartford, CT. Margaret died 1699 in Windsor, Hartford, CT.
Return was a tanner at Windsor and a man of large estate. He married a third time, but whom or when the author has not been able to find. He removed in his later years to Northampton.
8. Ebenezer Strong
Ebenezer’s wife Hannah Clapp was born 20 Sep 1646 in Dorchester, Suffolk, Mass. Her parents were Nicholas Clapp and his cousin Sarah Clapp. Hannah died 1729 in Northampton, Hampshire, Mass.
Ebenezer was a farmer and tanner at Northampton, and like his father a ruling elder in the church. The tannery (1/4 of an acre) was deeded to him by his father Dec. 15, 1688. His estate was inventoried at his death at £950, of which, personal estate £896, and real £44. He willed “all his part in the tan-yard to his son Ebenezer”. He was often selectman between 1682 and 1728, and was in early life called sergeant and deacon, and was constable in 1679.
9. Abigail Strong
Abigail’s first husband, Rev. Nathaniel Chauncey was born 1639 in Plymouth, Mass. His parents were Charles Chauncey and Catherine Eyre. Nathaniel died 4 Nov 1685 in Hatfield, Mass.
Nathaniel preached at Windsor, CT (1666-78), and at Hatfield, MA (1679-85). His effects were inventoried as follows: Estate, £429 ; house barn &c., £100; and Library (which was exceedingly valuable for those time) £85 . He was assistant and successor to Rev. John Warham of Windsor, while preaching there, and was a strong advocate of his views of the half-way covenant. An earnest minority in the church dissenting from such views withdrew and formed a second church, inviting Rev. Benjamin Woodbridge in 1669-70, to become their pastor just before the death of Mr. Warham.
The Half-Way Covenant was a form of partial church membership created by New England in 1662.
Full membership in the tax-supported Puritan church required an account of a conversion experience, and only persons in full membership could have their own children baptized. Second and third generations, and later immigrants, did not have the same conversion experiences. These individuals were thus not accepted as members despite leading otherwise pious and upright Christian lives.
In response, the Half-Way Covenant provided a partial church membership for the children and grandchildren of church members. Those who accepted the Covenant and agreed to follow the creed within the church could participate in the Lord’s supper. Crucially, the half-way covenant provided that the children of holders of the covenant could be baptized in the church. These partial members, however, couldn’t accept communion or vote.
Many of the more religious members of Puritan society rejected this plan as they felt it did not fully adhere to the church’s guidelines, and many of the target members opted to wait for a true conversion experience instead of taking what they viewed as a short cut. Response to the Half-Way Covenant may have sown the seeds for the First Great Awakening in the 1730s
Abigail’s second husband Deacon Medad Pomeroy was born 19 Aug 1638 in Windsor, Hartford, CT. His parents were Eltweed Pomeroy and Margery Rockett. He first married 21 Nov 1661 in Suffolk, Dorchester, Mass. to Experience Woodward (b. 10 Nov 1643 in Dorchester, Suffolk, Mass – d. 8 Jun 1686 in Northampton, Mass.). He married Abigail second 8 Sep 1686 in Northampton. Finally, he married 24 Jan 1705 in Westfield, Hampden, Mass. to Hannah Warriner (b. 17 Aug 1643 in Springfield, Hampden, Mass. – d. 12 May 1721 in Westfield, Hampden, Mass.) Her parents were William WARRINER and Joanna SEARLE. Medad died 30 Dec 1716 in Northampton, Hampshire, Mass
Medad was a blacksmith and gunsmith who came to Northampton in 1659. Served as town clerk, magistrate, selectman, deputy to the General Court and town treasurer.
10. Elizabeth Strong
Elizabeth’s husband Joseph Parsons, Esq. was born 1 Nov 1647 in Springfield, Hampden, Mass. His parents were Joseph Parsons and Mary Bliss. His grandparents were [our ancestors] Thomas BLISS and Dorothy WHEATLEY. Joseph died 29 Nov 1729 in Northampton, Hampshire, Mass.
Joseph was a lawyer and justice of the peace at Northampton, and first judge of the County Court of Hampshire Co. (1698), and was a man of extensive business at all times, and much engaged in political and military life. For 60 years they lived together in wedded life.

Joseph Parsons Gravestone — Bridge Street Cemetery, Northampton, Hampshire County, Mass.
Inscription:
“Here lyeth the body of Joseph Parsons Esqr who Deceased November ye 29 AD 1729 Aged 83 Years”
11. Experience Strong
Experience’s husband Zerubbabel Filer was born 23 Dec 1644 in Windsor, Hartford, CT. His parents were Walter Filer and Jane Irving. Zerubbabel died 21 Oct 1714 in Windsor, Hartford, CT.
In 1668 Thomas FORD gave a conditional bond for deeding the homestead, after the death of he and his wife, to Zerubabel Filer, if he should marry Thomas’ granddaughter Experience Strong. These two married 27 May 1669 and Experience received the deed 23 August 1672.
Zerubbabel moved to Suffield, but afterwards returned to Windsor again.
12. Samuel Strong
Samuel’s first wife Esther Clapp was born Jul 1656 in Dorchester, Suffolk, Mass. Her parents were Edward Clapp and Susannah Cockerell. Esther died 26 Jan 1698 in Northampton, Hampshire, Mass.
Samuel’s second wife Ruth Sheldon was born 27 Aug 1663 in Northampton, Hampshire, Mass. Her parents were Isaac Sheldon and Mary Woodford. She first married 6 Nov 1679 in Northampton, Hampshire, Mass to Joseph Wright (b. 2 Jun 1657 in Northampton, Hampshire, Mass. – d. 16 Feb 1697 in Northampton). Ruth died 16 May 1728 in South Hadley Falls, Hampshire, Mass.
A twin with Joseph who died at age 10. A farmer at Northampton, Mass.
14. Mary Strong
Mary’s husband Deacon John Clark was born 1 Sep 1651 in Dorchester, Suffolk, Mass. He was her first cousin. His parents were Lt. William CLARK and Sarah STRONG. John’s first wife Rebecca Cooper was born 15 May 1657 in Springfield, Hampden, Mass. They were married on 12 Jul 1677 and she died during childbirth when their only child Sarah was born on 28 April 1678. Rebecca was the daughter of Captain Thomas Cooper and Sarah Slye and her father-in-law’s step-daughter due to a double marriage. John died 3 Sep 1704 in Windsor, Hartford, CT.
His death occurred “from fatigue and cold taken in a snow storm” en route home from Boston. Most sources indicate he died Sept 3, but I have also seen Nov 2 as a death date, which would make some more sense if the cause of his death was a snowstorm. His death is recorded in Windsor, Connecticut on Sep 3, 1704.
“It is not known where John lived and brought up his family but, probably in the house later known as the Upham House, half way between Pres. Seelyes’ and Mr. Maltby’s. He inherited the southern six acres of Lt. William’s home lot but, at that time, he was already the father of eight children. Sometimes referred to as “Sgt. John”, but more usually as “Dea. John”, he was a much respected and useful man in both town and church affairs. He was first elected selectman in 1689 and served in that office in 1692, 93, 96, 98 and from 1700 until his death. He also served on numerous committees and was a Deputy to the General Court from 1699 to 1703. In 1691, he was the sixth man chosen as Deacon of the First Church and served 14 years until his death. Deacon John died at Windsor, Ct. Sept. 3, 1704 from fatigue and cold taken in a snowstorm on his way home from Boston. At that time, a trip to Boston on horseback was about a week’s journey.
Most sources indicate he died Sept 3, but I have also seen Nov 2 as a death date, which would make much more sense if the cause of his death was a snowstorm.
On 12 Oct 1704, his widow and sons, John and Nathaniel, filed an inventory of his estate which included 13 parcels of land valued at £488.10s. This included his house and homestead, the Joshua Carter lot willed to him by his father and land in Lebanon, Ct. His personal estate valued at £161.9s included 2 oxen, 4 cows, 10 steers, 3 heifers, 3 horses, a mare, colt, sheep and a long list of household goods and furniture. The estate was owed £24-07-05 and owed debts which totaled £43-19-07. The net estate value was £630-06-05.”
Of this family says Prest. Dwight in his “Travels in New England (vol. I, Letter 33):” “Four lived to to be above 90; three, above 80: and three above 70. The youngest son died in his 98th year; and at the time of his death there had sprung from the original pair 1145 persons of whom 960 were still living.” He was a very worthy useful man, and a representative to the General Court for 14 years, but not consecutively. He was often also selectman between 1689 and 1732 and was called variously, deacon, and sergeant. The six sons of this family lived each with the wife of his youth, more than fifty years. They all outlived their wives, and the daughters, their sisters, all outlived their husbands.
Children with Mary: John, Nathaniel, Ebenezer, Increase, Mary, Rebecca, Experience, Abigail, Noah, Thankful, and Josiah. Eleven of his children lived to marry and have families.
15. Sarah Strong
Sarah’s first husband Joseph Barnard was born 1641 in Windsor, Hartford, CT. His parents were Francis Barnard and Hannah Marvin. Joseph died 6 Sep 1695 in Deerfield, Franklin, Mass.
Joseph was of Hadley, MA, and afterwards of Deerfield, MA. He resided in Northampton. He died from wounds received from Indians 6 Sep 1695 in Deerfield.
He was one of the founders of Deerfield. He was shot and mortally wounded by Indians near his home. A marker was placed by a descendant (James Barnard) at the location where he was shot.
Sarah’s second husband Jonathan Wells was born 1658 in Wethersfield, Hartford, CT. His parents were Thomas Wells and Mary Beardsley. He first married 3 Dec 1682 in Longmeadow, Hampden, Mass. to Hepzibah Colton (b. 7 Jan 1657 in Longmeadow, Hampden, Mass. – d. 27 Aug 1697 in Longmeadow, Hampden, Mass.) Jonathan died 3 Jan 1739 in Deerfield, Franklin, Mass.
Jonathan was made a Captain upon the death of his brother Thomas Wells III in 1691. Jonathan was the “boy hero” of the Peskeomskat Fight, also known as Turner’s Falls Fight [see my blog article] and he was Military Commander of the settlement at Deerfield when the town was attacked on Feb 29, 1703/04 [see my article Raid of Deerfield – 1704].
Mr. Jonathan Wells of Hatfield, one of the twenty who remained in the rear when Turner began his march from the Falls, soon after mounting his horse, received a shot in one of his thighs, which had previously been fractured and badly healed, and another shot wounded his horse.
With much difficulty he kept his saddle, and after several narrow escapes, joined the main body just at the time it separated into several parties, as has been related. Attaching himself to one that was making towards the swamp, on the left, and perceiving the enemy in that direction, he altered his route and joined another party flying in a different direction. Unable to keep up with the party, he was soon left alone, and not long after fell in with one Jones, who was also wounded.
The woods being thick and the day cloudy, they soon got bewildered, and Wells lost his companion, and after wandering in various directions, accidentally struck Green River, and proceeding up the stream, arrived at a place since called the Country Farms, in the northerly part of Greenfield. Passing the river and attempting to ascend an abrupt hill, bordering the interval west, he fell from his horse exhausted.
After lying senseless some time, he revived and found his faithful animal standing by him. Making him fast to a tree, he again lay himself down to rest, but finding that he should not be able to remount, he turned the horse loose, and making use of his gun as a crutch hobbled up the river, directly opposite the course he ought to have taken. His progress was slow and painful, and being much annoyed by mosquitos, towards night he struck up a fire, which soon spread in all directions, and with some difficulty he avoided the flames.
Now new fears arose; the fire, he conjectured, might guide the Indians to the spot, and he would be sacrificed to their fury. Under these impressions, he divested himself of his ammunition, that it might not fall into their hands, bound up his thigh with a handkerchief, staunched the blood, and composing himself as much as possible, soon fell into a sleep. A dream suggesting to him that he was travelling from, instead of to Hatfield, he reversed his course, and through time brought up at the upper part of Greenfield, and soon found a foot path which led him to the trail of his retreating comrades.
This he pursued to Deerfield River, which, with much difficulty, he forded by the aid of his gun. Ascending the bank he laid himself down to rest, and being overcome with fatigue, he fell asleep, but soon waking he discovered an Indian making toward him in a canoe. Unable to flee, and finding his situation desperate, he presented his gun, then wet and filled with sand and gravel, as if in the act of firing.
The Indian, leaving his own gun, instantly leaped from his canoe into the water, escaped to the opposite shore and disappeared. Wells now concluded he should by others who he knew were but a short distance down the river, but determining if possible to elude them, he gained an adjacent swamp, and secreted himself under a pile of drift wood.
The Indians were soon heard in search of of him, traversing the swamp in all directions, and passing over the drift wood; but lying close, he fortunately avoided discovery, and after they had given up the search and left the place, he continued his painful march through Deerfield meadows. Hunger now began to prey upon him, and looking about he accidently discovered the skeleton of a horse, from the bones of which he gathered some animal matter, eagerly devoured, and which in a measure allayed his hunger and added to his strength.
Passing the ruins of Deerfield, at dusk, he arrived next morning at Lathrop’s battle ground, at Bloody Brook, in the south part of Deerfield, where he found himself so exhausted that he concluded he must give up further efforts and lie down and die
But after resting a short time, and recollecting that he was within eight miles of Hatfield, his resolution returned, and he resumed his march through pine woods, then smoking with a recent fire; there he found himself in great distress from a want of water to quench his thirst, and almost despaired of reaching his approximated home. But once more rousing himself, he continued his route and about mid-day on Sunday reached Hatfield, to the joy of his friends, who had supposed him dead. After a long confinement, Mr. Wells’s wound was healed, and he lived to an advanced age, a worthy member of the town.
16. Hannah STRONG (See Capt. William CLARK‘s page)
17. Hester Strong
Hester’s husband Thomas Bissell was born 2 Oct 1656 in Windsor, Hartford, CT. His parents were Thomas Bissell and Abigail Moore. Thomas died 26 Dec 1738 in Windsor, Hartford, CT.
Children of Hester and Thomas:
i. Esther Bissell b. 10 Sep 1679 Windsor, Hartford, CT
ii. Abigail Bissell b. 20 Oct 1681 Windsor, Hartford, CT
iii. Thomas Bissell b. 3 Dec 1683 Windsor, Hartford, CT; m1. 16 Feb 1710 to Martha Loomis; m2. 20 Dec 1743 to his first cousin Hannah Clark. Hannah’s parents were Capt. William CLARK and Hannah STRONG.
iv. Ebenezer Bissell b. 1 Aug 1685 Windsor, Hartford, CT
v. Eunice Bissell b. 30 Mar 1686 Windsor, Hartford, CT
vi. Nathaniel Bissell b. 14 Apr 1690 Windsor, Hartford, CT
vii. Jerijah Bissell b. 1698 Windsor, Hartford, CT
18. Thankful Strong
Thankful’s husband Jonathan Baldwin was born 15 Feb 1647/48 in New Haven, CT. His parents were Joseph Baldwin and Hannah Whitlock. Jonathan died 13 Dec 1739 – Milford, New Haven, CT.
Inscription:
Here lyes ye body of
Jonathan baldwin
Died dec ye 13th 1739 in ye 91st
year of his age..
19. Jerijah Strong
Jerijah’s wife Thankful Stebbins was born 11 May 1678 in Northampton, Hampshire, Mass. Her parents were John Stebbins and Abigail Bartlett. Thankful died 24 May 1744 in Northampton, Hampshire, Mass
Sources:
http://www.genealogyofnewengland.com/b_s.htm








Pingback: Capt. William Clark | Miner Descent
Pingback: Richard Strong | Miner Descent
Pingback: Thomas Ford | Miner Descent
Pingback: Origins | Miner Descent
Pingback: Passages | Miner Descent
Pingback: Unusual Names | Miner Descent
Pingback: Thomas Cushman Jr. | Miner Descent
Pingback: William Warriner | Miner Descent
Pingback: Twins | Miner Descent
This was extremely helpful, and filled in a lot of blank spaces in my tree. Do you have any information on Hannah?
Pingback: Lt. William Clarke | Miner Descent
Pingback: Turner’s Falls Fight | Miner Descent
Pingback: Capt. William Clark Sr. | Miner Descent
love it dude